Matias’s boat blog 19 June ’18

Mr Fat Cheeks.

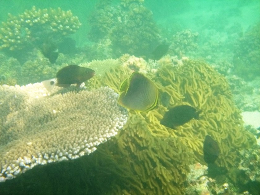
For the last couple of days, we were at a reef surrounded island called Taveuni. We went to a reef and saw many fish and coral. On the reef, we saw lots of fish that we had never seen before and odd colours of coral. Check out the one below!

Strange coral.

 

Now we are on shore and we will go to a waterfall (three waterfalls) and hopefully swim in them all. On the path we saw frogs and toads and a crab in a small hole. The waterfalls were cold but that did help against the heat of Fiji. You could go right underneath and get smashed by the water falling on top of you.

Falling water.

 

To get back to the boat was a challenge. It was so shallow, so we had to row and walk the dinghy off the shallow place into the deep area where we could motor out the rest of the way to the boat.

GOODBYE!!!!!

Taveuni, the Garden Island

Waterfall on Taveuni.

We arrived into Fiji just before the weekend and it took five days for us to get our Fijian cruising permit, five hot days where the boat was not allowed to leave the mooring in Savusavu. There was no wind, and although the town is nice enough, we were ready to leave when the permit came through. Savusavu is very sheltered, and when there is little wind it gets oppressively hot – the kind of heat that envelops you, sits heavily on your chest and flattens you into gasping, weary submission.

So, the moment the cruising permit comes through we are off, heading for Taveuni, the Garden Island east of Vanua Levu, where we know there is diving and kitesurfing and clean waterfalls.

After just a short trip across the ripping Somosomo Strait Taveuni appears: steep hills clad in dense vegetation, sharp peaks covered in mist, coconut palms lining the coast. A lush green jagged outline, appearing moist and cool to our overheated eyes.

We visit Paradise, a yacht-friendly resort with mooring buoys conveniently located just off their well-manicured gardens. The moorings are crowded with other yachts, all fast boats that are doing the ARC around the world rally and have just arrived from Tonga via the Lau Group.

They have been moving at breakneck speed – around the world in 16 months, stopping a few spots in each country, checking through customs in large groups, all organised by the rally. Normally, you have to clear into Fiji on the mainland (the large islands Viti Levu or Vanua Levu) but rallies like these gain permissions to clear in at the Lau Group so they don’t have to go back down against the wind to reach there like we will have to.

Only larger boats can make the tight round-the-world rally timeframe, and most of the boats in the anchorage are worth a great deal, their owners perma-tanned top achievers out to tick off a global circumnavigation, the kind of people who ‘do’ countries rather than visit them. They have had several expensive yachts run aground when trying to enter the notoriously poorly charted Pacific reefs in less than optimal light, and we chat for a while and get some waypoints for where they smashed into reefs around the Lau Group, the place we’re headed to next

After one night in Paradise, we continue our way north along Taveuni’s west coast, stopping for a couple of nights a couple of miles north, and then onwards until we finally reach a cooling breeze when we get to Matei at the top end of the island. Here, the hilly island no longer shelters us from the fresh tradewinds, and we enjoy a steady breeze, perfect for kitesurfing, and clear waters with great coral, perfect for snorkelling and diving.

Kiting off Matei.
Matias hunting for the perfect photo.

 

Lukas hanging on the surface.

Located right on the dateline, Taveuni is full of inland wonders too – jungles, waterfalls and verdant bush, light rain showers, fragrant flowers, strange frogs croaking, and colourful birds calling. We visit a natural waterslide where we zip down the shallow-gradient section of a waterfall, zooming over the slippery smooth rocks, pushed along by a torrent of clear, cool fresh water. The kids go, again and again, wearing the bottoms of their shorts thin, yelling and whooping as they whizz past, screaming as they land in the deep pool at the end.

Waterfall shower.
Getting ready for the drop-off.
Sliding down the waterfall.
Waterfall fun.

80% of the surface area of the island is a forest sanctuary, set up by foresightful locals deciding to bank on ecotourism rather than logging. The steep hills make for wonderful waterfalls, and we are amazed at the lush bush bordering the clear waterways, heavy epiphytes dripping off trees and fragrant flowers lining the walkways, making the jungle look like a soft green padded mattress with colourful dots from afar.

The downside to the lush natural beauty of Taveuni is endless stinging critters: mozzies, jellyfish, even famously poisonous plants, which leave us itchy and raw, covered in inflamed pink spots. The deep coastal waters near Paradise where we initially jump off the boat are like jellyfish soup, tiny little stingers that launch vicious attacks on any skin not covered by clothing. The stings swell up and itch for days, hurting so bad that Matias starts snorkelling in jeans, and I resort to a full-length, luminous turquoise lycra suit, a disco-queen remnant from the 1990s which only comes out of the cupboard in absolute emergencies. As I glide over the reef in my turquoise splendour, tiny striped cleaner wrasse stare at me in stunned silence before they timidly come up for a nibble, perhaps mistaking me for a mutant whale, and I can just imagine their conversation:

Baby cleaner wrasse: “Wow, Daddy, what is that? I’ve never quite seen one like that before. It’s huge and shining!! So blue!!! What is it?!?”

Daddy wrasse, looking up at large looming turquoise shape outlined sharply against the water surface. “I don’t know, Son. Never seen the like of it. Very shiny indeed. I’ll tell you what, though, whatever it is it’ll need cleaning. So, go on, do your thing, wriggle up, do the dance, and start nibbling!”

Not wanting to hurt their feelings or delicate skin, I gently wave the tiny wrasse aside, blowing out my snorkel, splashing my fins, trying to signal that I’m on the move and don’t want a clean, and the little fish rush back down to attack a patiently waiting parrotfish which looks annoyed at having its staff distracted by cheap bling.

Disco Diva confusing the local wildlife.

But all good things must come to an end. Taveuni, our first destination in Fiji, has been a beautiful place to visit, a vivid green jungle island fringed by colourful reefs.

Tomorrow, we’re off for the remote Lau Group in the south. We saw some of the islands from afar as we came up from New Zealand but weren’t allowed to visit until we’d cleared in with the Fijian Customs. It’s meant to be an amazing place, full of deserted islands, far-flung villages devoid of tourists, clear waters off the beaten track. There will be no provisions to be had down there other than the odd coconut, and no phone reception or internet, but plenty of visiting with village Fijians, snorkelling, kitesurfing and playing on beaches. We’ve been wanting to go for years and are looking forward to seeing it.

Bob in Paradise.

Matias’s boat blog 7 June ’18

Mr. Clam

Say hello to Mr clam! I found him while snorkelling, like his afro?!?!!!

BZZZZZZZZZZZ!!!!! Whoa! Fish on. We reeled in the lines and found that the lines of the rods had been tangled up in each other and each hook had a little skip jack tuna on them. Sadly, I had no time to get them in a photo.

Today we arrive in Fiji and I can’t wait to get ashore and see what it’s like! To be allowed in their country (Fiji has dozens of islands) we need permission, so we must answer questions or something like that. I don’t really understand what customs and that stuff is so I’m not a lot of help. This is what I want to do when we arrive… WHOOOO!!!!! HOOOOOO!!!!!!!!

A shark at Minerva Reef,
Some pink coral I saw at Minerva Reef.

 

A few days ago, we were on a reef in the middle of nowhere called MINERVA REEF and we saw coral, a shark, and crays which we tried to catch. I took lots of pictures.

I was afraid of the shark even though he or she did not mind me that much. The crays had three different tastes, one tasted like nothing, one tasted sweet and one tasted so sweet that I could not eat it! Imagine that!

 

Ship wreck at Minerva Reef.

 

At Minerva there was also a shipwreck that we explored and pointed a lot at all the things we saw. There was a coral bommie (a clump of coral) close by so we explored and found crays everywhere, but we couldn’t get them all.

Goodbye for now, I’ll write more when I have seen more of Fiji.


Passage survived

Definitely still alive.

“Copra Shed Marina, Copra Shed Marina, this is Bob the Cat.” David lowers the VHF and squints into the sunlight.

“Copycat, this is Copra Shed Marina,” says a pleasant female voice.

“Copra Shed Marina, this is Bob the Cat,” says David. “We are arriving from New Zealand, will be with you at 1400 hours and will be ready to check in with Customs then.”

“Copy that, Copycat. That is fine. They will be ready for you.”

“OK. Bob the Cat says thanks for that.”

“Copycat, we need to know: did anyone die onboard the vessel since leaving New Zealand?”

David holds the VHF out in front of him, squinting at it quizzically. “Erm, no, all onboard Bob the Cat are alive,” he answers, raising his eyebrows at me. “And well. We are all well. I can confirm that all crew survived the trip.”

I laugh. It’s a weird question. There is a boat called Copycat – we left them behind in Opua. They were headed for Tonga I think. And why are they asking if anyone died? Maybe they are required to ask about death onboard – but, I mean, how often does it happen that a boat is trying to gloss over the loss of a crew member, deciding not to mention their absence when reaching the destination? I guess it happens.

“Oh, those kids we checked out of New Zealand? Well, they decided not to come in the end…” Meanwhile, couple furiously looking for a good, deep bit of ocean to dump the bodies.

Not us. We are well. The sun is beating down, the humid air is about 30 degrees C, and the number of coconuts floating in the water has been steadily increasing for hours. We can see little green islands in all directions, barricaded by white surf.

Where is that land?

It’s been 12 days since we left New Zealand, 12 days since we last saw land. As we draw closer to Savu Savu, our port of entry in Fiji, we can make out the coconut palms, hear the roar of chainsaws and smell cooking fires. Little cars are visible, driving along a coastal road. Small buoys mark a coral reef. Resort huts sit unobtrusively amidst coconut palms, just off the yellow sandy beaches.

Can I have this for breakfast?

I breathe out and stretch. Oh, how wonderful to have arrived.

It’s been a good trip.

The sail from New Zealand to Minerva Reef went well. Out and onwards we flew, the wind filling our sails, the waves banging and crashing, shaking and stirring us. The ocean is a world of perpetual motion, of heaving seas and changing winds, and after a couple of days, it was hard to fathom a still existence, a stable platform, a quiet space. A tiny white dot on a huge blue sea, we were propelled onwards, surfing down the steep waves, rocking and rolling in the heavy swell. It took us six days to reach Minerva, daylight worlds of blue on blue, grey on grey and nights of silvery black.

The seas were reasonably heavy and so I suffered from relentless malaise: seasickness blending with fatigue into a permanent low-lying nausea impossible to shake. An all-day sickness only somewhat suppressed despite the promises of SeaLegs Prevent Travel Sickness, May Cause Drowsiness, Avoid Driving or Operating Machinery, a directive we can’t exactly follow although the autopilot did the lion’s share of the driving.

We fell into a pattern of David watching from 6 pm to 1 am, me from 1 to 7 am, with shorter daytime stints. During my night watch I swallowed endless cups of bitter instant coffee and savoured the powerful effect of caffeine for the unseasoned user: instant alertness, uplifted spirits, optimism, and a feeling akin to happiness and love spreading as the magic black fluid flowed through my veins.

The nights were amazing. Our passage was illuminated by a full moon spreading cool light and spawning ghostly luminous moonbows arcing over the silvery sea, kissing the undulating horizon, backed by blackness and the fizzy whizz of shooting stars.

Full moon on passage.

Night watches are always painful for a committed sleeper like myself. On the nights when it is busy, where sails need constant adjustment, and the wind is quickening and waning as rainstorms darken the horizon, I wish for calm seas and light winds, space to read. But on the quiet nights fatigue threatens to overwhelm, and I resort to pacing the deck to stay awake, longing for sense-sharpening action to invigorate my sleepy mind.

After five long nights, on the sixth morning after leaving New Zealand we found ourselves at both ends of the rainbow, with colours transparently overlaying the rough sea, going almost full circle, beginning and end converging on our boat. Finally, we could see Minerva Reef in the distance – a barely perceptible thin line of white foam grazing the sea surface. As we got closer we could faintly make out the roar and see the turquoise lagoon water, a sandwich of light blue on white.

A lake within an ocean, seabed rising from more than a thousand metres depth to just below the surface, hundreds of miles from nearest land.

Minerva is an incredible place. A calm crater lake within a turbulent ocean, a near-perfect circle of ragged reef enclosing light blue waters fading to turquoise in the shallows along the edges. The depths rapidly rose from thousands of metres to 50, 40, 30 as we approached the pass, and we made out way through to the shallow lagoon against the swift outflowing currents.

We anchored up near the light-blue edge and had our first calm lunch in the sunshine. Three other yachts were already there, gently lolling on the still blue waters. Being on anchor was wonderfully calm, the nausea dissipating instantly, and Matias had his first full meal since we left New Zealand.

We stayed at Minerva for four days, sitting out some heavy weather approaching from the north.

During our time there we braved the low-tide reef flats, through the two-foot-tall waterfall created by the surrounding ocean spilling over the edges into the lagoon at low tide. The kids played in the shallow pools, hands and feet pushing hard, stilling their bodies towards the powerful inward surge.

On the inside reef edge – at low tide the water pours into the lagoon from the surrounding sea.

A Japanese fishing boat wreck is shattered in many pieces just inside the reef, and on our snorkels, we found corals, colourful fish, and reef sharks. David picked up crayfish after crayfish, and in the evenings, we had crayfish every which way before retiring to blissful 10-hour stretches of uninterrupted sleep.

Lukie pointing, Matias taking photos of underwater Minerva shipwrecks.

 

 

Matias photographing…
Lukie chasing sharks…
… and David gathering food.

 

After two days in Minerva the violent storm we wanted to avoid shook up the water and we felt like we were on passage again – the wind howling, the waves rushing past the boat. As the storm raged on, the New Zealand to Tonga rally boats that left Opua two days after us started dripping in, wet, pale, and beaten after braving gale-force head-on winds.

When the rain stopped we left, hoping to make it to Fiji before the next patch of heavy rain.

Leaving rainshowers behind – sandwich sky in Fijian waters.

And as usual, David got the weather just right. The trip from Minerva to Fiji was wind- and rainless, the Pacific living up to its name, ocean and sky converging into one grey mass, oily seas with a slow-rolling large swell gently lifting and lowering us. It was a calm trip, devoid of action, involving only little sailing.

Heaven and ocean merging.

As we moved further north we moulted, shedding sleeping bags and heavy-weather gear first, then blankets, and long-sleeves, and last t-shirts. Finally, we’re back in the tropics, the kids just wearing board shorts and sunscreen, David bare-chested on night watch.

And now we are close to Savu Savu. I lean back in my seat, letting the sun’s rays warm my skin, the light wind only adding a slight cooling effect.

As trips from New Zealand go, this one has been quite good – mainly downwind and with a calmish anchorage in the middle to sit out a storm. Still, it feels like an achievement to reach Fiji, and as I sit basking in the hot sun, I ponder the value of contrasts and of overcoming obstacles. On a boat, you live day to day, and the getting there is much of the journey, an essential part of the trip. Being on anchor wouldn’t be as sweet if we hadn’t just spent days at sea. Sleeping wouldn’t be as glorious if we hadn’t been wakeful for so long. Calm weather wouldn’t be as sharp a relief if we hadn’t just been through a storm. Reaching the searing heat of the tropics wouldn’t be as comforting if we hadn’t escaped the cold. The contrasts somehow sharpen the image, enhance the joys of everyday existence.

I hope the crew of Copycat are alive and feeling joy too.

Bob in Fiji